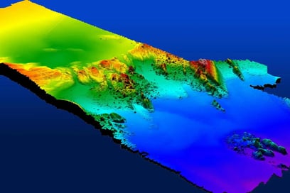
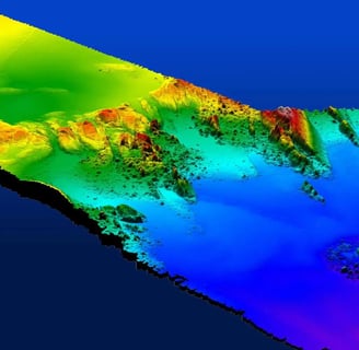
Batimetria
A batimetria serve para medir a profundidade e o relevo do fundo de rios, lagos, represas ou áreas costeiras. Com equipamentos específicos, fazemos um mapeamento detalhado do fundo d’água, mostrando onde é mais raso, mais profundo, ou onde há obstáculos submersos.
Esse serviço é essencial para obras de dragagem, construção de pontes, controle de assoreamento, monitoramento ambiental e navegação segura.


Engenharia de Mapeamento
Descubra como a RNX pode ser a sua parceira estratégica em mapeamento, geoprocessamento e regularização fundiária. Clique no botão abaixo para entrar em contato e solicitar um orçamento detalhado.
RNX Engenharia de Mapeamento
Rua Zeila Moura dos Santos, 101, Conj. 912, Edifício Time Work Station,
Bairro Cristo Rei, Curitiba - PR
contato@rnxengenharia.com
© 2025. All rights reserved.
